






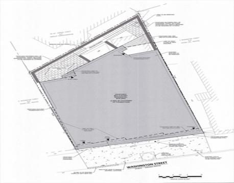
Rare high density development opportunity in Somerville with ZBA approved plans for 10 units, with the option for 12 with new somerville guidelines. This is a prime chance to invest in one of Somerville’s most sought-after neighborhoods. Currently used as a tenanted single-family residence, this MR-4 zoned lot allows for 4-story development - ideal for condo sellout, or multi-family hold. located less than 0.4 miles from the Green Line Extension and just minutes from Sullivan Square, Union Square, and Route 93, this property offers exceptional accessibility. Easy access into Boston and Assembly. Plans can either be advanced or modified to suit your vision, with options for lower unit count / create larger units.
| MLS Listing ID: | 73457647 |
|---|---|
| Listing Price: | $1,375,000 |
| Listing Status: | Active [?] |
| Property Type: | Multi Family |
| Bedrooms: | 17 |
| Full Baths: | 12 |
| Living Space: | 10000 sf. |
| Lot Size: | 0.07 acres (3262 sf.) |
| Parking: | - |
| Taxes: | $8,812.00 |
| Tax Year: | 2025 |
Listing Current as of April 19, 2026 11:00am
This listing brought to you by Ramsay and Company of Leading Edge Real Estate.
The property listing data and information set forth herein were provided to MLS Property Information Network, Inc. from third party sources, including sellers, lessors and public records, and were compiled by MLS Property Information Network, Inc. The property listing data and information are for the personal, non-commercial use of consumers having a good faith interest in purchasing or leasing listed properties of the type displayed to them and may not be used for any purpose other than to identify prospective properties which such consumers may have a good faith interest in purchasing or leasing. MLS Property Information Network, Inc. and its subscribers disclaim any and all representations and warranties as to the accuracy of the property listing data and information set forth herein.
A&S Realty, Inc and their agents make no warranties or representations as to the accuracy of this data, although good faith efforts have been made to ensure that the data displayed on this page is as accurate as possible. In certain cases listings are syndicated through another agency, management company, or through the MLS. A&S Realty, Inc is not responsible for the data that is displayed from a syndicate partner. Listings may no longer be available, pricing may be subject to change, and any photos or descriptions may be of a similar unit or from a previous year.