











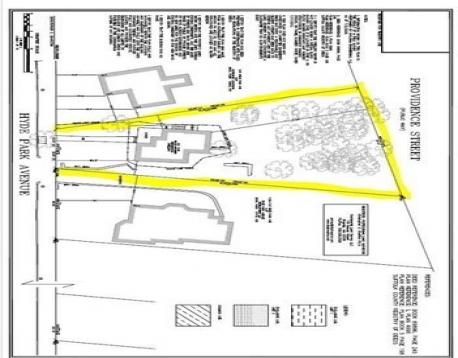
RARE 14,000 SF Hyde Park Development Opportunity! This exceptionally large lot is primed for significant residential redevelopment. Current architectural work suggests potential for 5 to 6 high-end townhouses. For a larger investor, the site's dimensions could accommodate a substantial 20 to 25-unit condo or rental building. Or, for owner-occupied use, this lot is ideal for a multi-family dwelling of 4 units. Owners have proactively engaged the City of Boston and received supportive feedback on preliminary concepts. No formal plans or permits have been submitted at this time. The driveway in one of the pics shows a highlighted area, and that is an easement with 1135-1137 property. That will allow for using it during construction. This is a must-see site for any well-resourced team seeking maximum return in the robust Boston market. Selling lot as is.
| MLS Listing ID: | 73456634 |
|---|---|
| Listing Price: | $600,000 |
| Listing Status: | Active [?] |
| Neighborhood: | Hyde Park |
| Property Type: | Single Family |
| Style: | Other (see Remarks) |
| Bedrooms: | Studio |
| Living Space: | 2000 sf. |
| Lot Size: | 0.32 acres (14000 sf.) |
| Parking: | - |
| Taxes: | $3,882.00 |
| Tax Year: | 2025 |
Listing Current as of January 05, 2026 12:00am
This listing brought to you by Jeremy Brandon of Thumbprint Realty, LLC.
The property listing data and information set forth herein were provided to MLS Property Information Network, Inc. from third party sources, including sellers, lessors and public records, and were compiled by MLS Property Information Network, Inc. The property listing data and information are for the personal, non-commercial use of consumers having a good faith interest in purchasing or leasing listed properties of the type displayed to them and may not be used for any purpose other than to identify prospective properties which such consumers may have a good faith interest in purchasing or leasing. MLS Property Information Network, Inc. and its subscribers disclaim any and all representations and warranties as to the accuracy of the property listing data and information set forth herein.
A&S Realty, Inc and their agents make no warranties or representations as to the accuracy of this data, although good faith efforts have been made to ensure that the data displayed on this page is as accurate as possible. In certain cases listings are syndicated through another agency, management company, or through the MLS. A&S Realty, Inc is not responsible for the data that is displayed from a syndicate partner. Listings may no longer be available, pricing may be subject to change, and any photos or descriptions may be of a similar unit or from a previous year.